旭区新森店舗

132万円 (2.1万円/坪) 管理/共益費 -

大阪府大阪市旭区新森7丁目1-20

地下鉄今里筋線「清水」駅徒歩6分

地下鉄今里筋線「新森古市」駅徒歩9分

価格
132万円(2.1万円/坪) 管理/共益費 -
面積
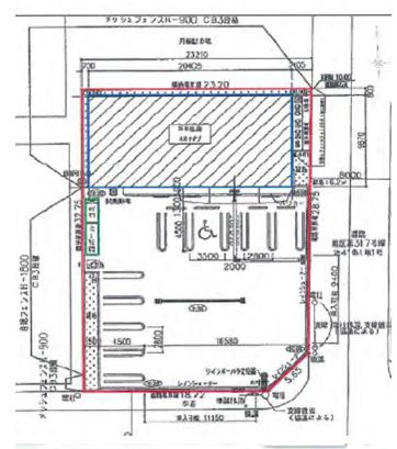
62.92坪(208.03㎡)
所在地
大阪府大阪市旭区新森7丁目1-20
築年
-(-)
駐車
-
交通

地下鉄今里筋線清水」駅 徒歩6分

地下鉄今里筋線新森古市」駅 徒歩9分

旭区新森店舗の基本情報

物件名
旭区新森店舗
価格
132万円(2.1万円/坪)
管理/共益費
-
築年月
-(-)
所在地
大阪府大阪市旭区新森7丁目1-20
交通

地下鉄今里筋線清水」駅 徒歩6分

地下鉄今里筋線新森古市」駅 徒歩9分

旭区新森店舗の詳細情報

設備条件
駐車場/月額
-/-
取引態様
仲介

旭区新森店舗で募集中の物件

  1. 1階

    62.92坪 (208.03㎡)

    132万円(2.1万円/坪)

周辺施設

  • 大阪市立旭東中学校の画像

    中学校

    大阪市立旭東中学校

    25m(1分)

  • ファミリーマート新森7丁目店の画像

    コンビニエンスストア

    ファミリーマート新森7丁目店

    334m(5分)

旭区新森店舗

お気軽にお問い合わせください

無料お問い合わせ

株式会社OfficeLink

06-6226-7400

9:00-18:00

(休:土日祝祭日)